2 parkings & garages te koop in 1730 Asse

Ontvang dagelijks nieuwe advertenties die aan uw zoekcriteria voldoen

De meest recente aankondigingen van garage te koop staan bovenaan de lijst.

photo

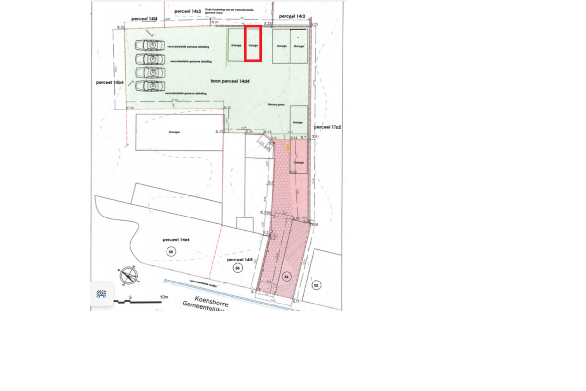
Parking & garage te koop Asse

25.000 €

0 slp. | 0 m2 | clock 5m

In een nieuwbouwproject dat in 2025 werd gerealiseerd in een rustige buurt van Asse, bieden wij een parkeerplaats te koop aan. Deze comfortabele… …klik hier voor alle info over deze aankondiging

photo

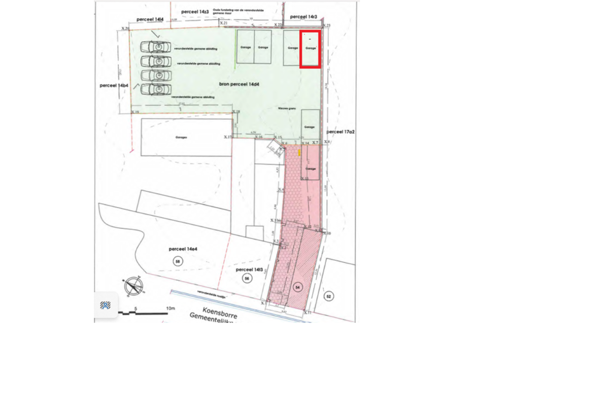
Parking & garage te koop Asse 1730

27.000 €

0 slp. | 0 m2 | clock 5m

In een nieuwbouwproject dat in 2025 werd gerealiseerd in een rustige buurt van Asse, bieden wij een parkeerplaats te koop aan. Deze comfortabele… …klik hier voor alle info over deze aankondiging

Ontvang dagelijks nieuwe advertenties die aan uw zoekcriteria voldoen

Past uw zoekcriteria aan

Heeft u de parking & garage te koop dat u zocht in Asse niet gevonden binnen de 2 zoekertjes?  U kunt altijd zoeken in de andere gemeentes in de buurt van Asse.

Parkings & garages te koop in de gemeenten rond Asse

Types garage te koop in 1730 Asse

Kopen of huren een garage? Denk soms de andere kant op

Ontvang dagelijks nieuwe advertenties die aan uw zoekcriteria voldoen